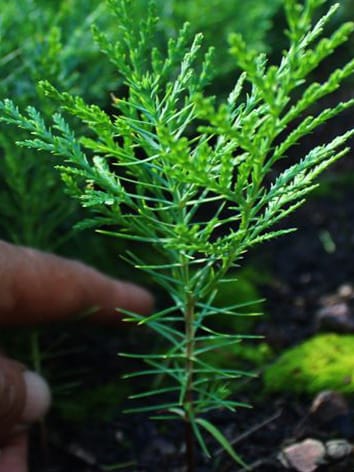
Сеянцы, саженцы хвойных растений из питомника

Ель голубая, ель обыкновенная, туя западная, туя восточная, пихта, можжевельник. Окс!

ВАЖНО!!! ЧИТАЙТЕ ОПИСАНИЕ ВНИМАТЕЛЬНО! Идет приём предварительных заказов на весну 2026 года сеянцев хвойных растений на доращивание на сайте питомника. Минимальный заказ от 2000 руб. Выкопка и отправка с 1 апреля. Наличный и безналичный расчет, заключаем договора, закрывающие документы.

Саженцы, сеянцы хвойных растений из питомника «Хвойный дворик» выращиваем сами. ДОСТАВКА. Влажная упаковка, переносит сроки доставки 14+ суток. Отправляем не первый год. Розница и опт! Фото наши! Отправляем только по России транспортной компанией СДЭК, Почтой России. САМОВЫВОЗ. Можно приобрести с питомника. Самовывоз от 1 шт. любой позиции.
12.02.2026
Биокорректор продуктивности пчёл Терра&Ферм АПИ

Биокорректор продуктивности пчёл Терра&Ферм АПИ

Кормовая добавка «Терра&Ферм АПИ» предназначена для формирования и биокоррекции продуктивного здоровья пчел, содержит в себе комбинацию природных кислот, витаминов и минералов, которые благотворно влияют на физиологическое состояние пчел. Препарат расфасован по 30 г в фольгированных пакетах. СОСТАВ СИМБИОТИЧЕСКОЙ СМЕСИ 1. Триэтаноламмониевая соль ортокрезоксиуксусной кислоты 2. Янтарная кислота 3. Аскорбиновая кислота (витамин С) ПОКАЗАНИЯ Ослабленные после зимовки или молодые растущие семьи. Для стимуляции развития семей пчел и повышения репродуктивной активности пчелиных маток. За счет совокупности качественного и количественного состава кормовой биодобавки Терра&Ферм АПИ, проявляются ярко выраженное синергетическое действие на организмы пчёл, что и позволяет использовать этот биостимулятор в микродозах. БЕЗОПАСНЫЕ ДОЗИРОВКИ: Для предупреждения негативных последствий, ограничьтесь минимальным количеством препарата. Дозы и способ применения. 1-го пакета (30г) хватает на 100 семей. Нормы внесения маточного раствора (МР) Маточный раствор: растворить содержимое 1-го пакета в 1 литре теплой дистиллированной воды до полного растворения. Для средней семьи (~1 кг пчел) 10 мл маточного раствора, добавить в сахарный сироп, при t не выше 40гр. С. Весной и осенью: добавлять 10 мл разведённого препарата (МР) на 1-2 л сахарного сиропа, которым подкармливают каждую пчелиную семью. Такая обработка проводится дважды в сезон: ранней весной и поздней осенью. Длительность 1-го курса: 1 раз в неделю, 4 раза в течении 1-го месяца. Кипятить готовый сироп с добавкой нельзя — это может ухудшить его свойства. Особенности хранения (МР): Хранить маточный раствор не более 7 дней, в тёмном месте, при температуре 4-6 гр.С. Побочные действия в рекомендуемых дозах не наблюдаются. Цена 1 пакетика — 1.000 руб. Цена 10 пакетиков — 8.000 руб. Цена 100 пакетиков — 60.000 руб.

1 000 р.
Сочи
Полотно вафельное отбеленное, ширина 45см (рулон - 60 п/м) плотность 200г/м2, хлопок 100%, арт.2-95/6 г.Иваново

Полотно вафельное отбеленное, ширина 45см (рулон - 60 п/м) плотность 200г/м2, хлопок 100%, арт.2-95/6 г.Иваново

Полотно вафельное отбеленное, ширина 45см (рулон - 60 п/м) плотность 200г/м2, хлопок 100%, арт.2-95/6 г.Иваново Вафельное полотно – универсальный промышленный и хозяйственный материал. Основным назначением, которого является обтирка и уборка. Главным преимуществом над другими тканями является хорошая гигроскопичность и полное отсутствие ворса. Поэтому вафельное полотно применяется для обтирки ответственных поверхностей. полотно хорошо переносит высокие температуры, это обуславливает его использование в металлургии и полиграфии, нефтедобывающих компаниях, автосервисах и строительных предприятиях. С помощью вафельного полотна можно обрабатывает практически все известные поверхности, поэтому такие ткани используются не только на производстве, но и в офисе, и в быту. Вафельное полотно обладает наилучшими свойствами для уборки, именно по этому оно используется клининговыми компаниями. Цвет товара - белый Тип - тряпка Назначение - универсальная Материал - хлопок Длина - 6000 см Ширина - 45 см Особенности - в рулоне Страна производства - Россия Комплектация Отрез вафельного полотна 60 м. Общее количество, шт - 1 Размер, см - 6000х45

3 321 р.
Новосибирск
Шина Покрышка + камера 3.25 / 3.00-8 (13х3) для садовой тачки

Шина Покрышка + камера 3.25 / 3.00-8 (13х3) для садовой тачки

Покрышка + камера 3.25 / 3.00-8 (13х3) для садовой тачки – 3шт (525р) Покрышка без камеры 3.25 / 3.00-8 (13х3) для садовой тачки – 1шт (325р) Шина для колеса тачки 4.80/4.00-8 – 1шт (459р)

525 р.
Новосибирск
Секатор прививочный, 215 мм, сменные ножи, Palisad арт.60502

Секатор прививочный, 215 мм, сменные ножи, Palisad арт.60502

Секатор прививочный, 215 мм, сменные ножи, Palisad арт.60502 Прививочный секатор Palisad 60502 длиной 215 мм, со сменными ножами, используется для прививки плодовых растений черенком. Фигурные ножи секатора изготовлены из рессорно-пружинной стали, поэтому обладают высоким ресурсом (каждый рассчитан на 2000 срезов без дополнительной заточки). В комплекте U-образный, V-бразный и Ω-образный ножи, позволяющие работать с черенками различной толщины и плотности. Вырезы, сделанные на подвое и привое, идеально совместимы друг с другом, дополнительная подгонка им не требуется. Преимущества Коррозионная стойкость — лезвия изготовлены из нержавеющей стали, прививочные ножи покрыты порошковой эмалью. Прецизионная заточка — режущая кромка производит качественный рез и долго сохраняет рабочие свойства. Контроль качества реза — плотность смыкания лезвий можно отрегулировать при помощи винта. Надежность и долговечность — рукоятки из полиамида устойчивы к воздействию ультрафиолета, а также выдерживают значительные нагрузки. Безопасное хранение и транспортировка — фиксатор надежно удерживает лезвия в нерабочем положении. Основные характеристики: Покрытие противорежущего лезвия - антикоррозионное масло Покрытие режущего лезвия - PTFE (тефлон) Тип закалки режущего лезвия - индукционная Тип реза - прививочный Штрихкод (EAN-13) - 4044996145617 Назначение - для прививки черенком Конструкция - антикоррозийное покрытие, тефлоновое покрытие Максимальный диаметр реза, мм - 10 Материал лезвий - сталь Материал нижней рукоятки - полиамид Общая длина, мм - 215 Функциональные возможности - прецизионная заточка лезвий Параметры упаковки: Тип упаковки - блистер Длина в упаковке, мм - 280 Ширина в упаковке, мм - 148 Высота в упаковке, мм - 43 Вес (брутто), кг - 0.355 Комплектация товара: Секатор - 1 шт опорный барабан - 2 шт V- образный нож - 1 шт Ω-образный нож - 1 шт U-образный нож - 1 шт

600 р.
Новосибирск
Опрыскиватель ранцевый, 12 л, с насосом, шлангом и разбрызгивателем Palisad Luxe, арт. 64781

Опрыскиватель ранцевый, 12 л, с насосом, шлангом и разбрызгивателем Palisad Luxe, арт. 64781

Ранцевый опрыскиватель Palisad LUXE 64781 вместимостью 12 л, с насосом, шлангом и разбрызгивателем, используется для обработки садовых растений пестицидами и для внесения удобрений. Может применяться в быту — например, для мытья автомашины или окон. Опрыскиватель устанавливают на горизонтальную поверхность или вешают за спину при помощи мягких лямок — это удобно при перемещении по большой территории. Бак вмещает 12 л, поэтому устройство долго работает без долива жидкости. Боковое расположение ручки насоса позволяет подкачивать давление в баке, не снимая опрыскиватель со спины. Преимущества Установка оптимального режима работы — у опрыскивателя имеется функция регулировки струи жидкости, а в комплект поставки входит 2 дополнительные насадки. Возможность непрерывного распыления — фиксатор курка удерживает его в рабочем положении. Безопасная эксплуатация — производитель предусмотрел автоматический клапан для сброса избыточного давления. Удобное орошение кустарников и крон деревьев — в комплект поставки входит дополнительная штанга-удлинитель. Контроль уровня жидкости — мерная шкала позволяет оценить степень заполненности бака. Комфортная работа как для правшей, так и для левшей — рукоятку насоса можно установить и с правой, и с левой стороны. Основные характеристики: Штрихкод (EAN-13) - 4044996139630 Материал - полипропилен Длина штанги, м - 2 Код ТН ВЭД - 8424419000 Конструкция - наличие помпы Объем бака распыляемого вещества, л - 12 Рабочее давление, атм - 3

1 983 р.
Новосибирск